Algatatud 2006

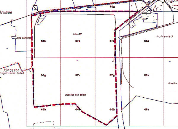
Narva linna Balti Elektrijaama
Tuhavalja nr 2 tulepargi objekti asukoha valiku teemaplaneering
 14.12.2006. nr 237
Tellija: AS Narva Elektrijaamad
Eesmärk: Asukoha valimine tuulegeneraatorite, juurdepääsuteede ning montaaživäljakute, elektri- ja sideliinide rajamiseks, valve- ja turvasüsteemide ja rajatiste paigaldamiseks.
Planeeritava ala pindala: ca 714 ha
Märkused: Lähteülesande muutmine 26.04.2007. nr 138 (pdf), skeem (pdfjpg)
Tiigi tn 7 maa-ala 14.12.2006. nr 236
Tellija: Sundstrand OÜ
Eesmärk: Planeeritavale maa-alale ehitusõiguse määramine, maa-ala kruntideks jagamine, liikluskorralduse ja jalakäijate teede lahendamine, maa-ala heakorrastuse ja haljastuse korraldamine, tehnovõrkude asukoha määramine ning nendega varustamisega lahendamine.
Planeeritava ala pindala: ca 3,4 ha
Juhhanovi tn 5 maa-ala 14.12.2006. nr 235
Tellija: Siseministeerium
Eesmärk: Planeeritavale maa-alale ehitusõiguse määramine uue Siseministeeriumi valitsemisalas olevate asutuste ühise haldushoone ehitamiseks, maa-ala krundipiiride täpsustamine, liikluskorralduse ja jalakäijate teede lahendamine, maa-ala heakorrastuse ja haljastuse korraldamine, tehnovõrkude asukoha määramine ning nendega varustamisega lahendamine.
Planeeritava ala pindala: ca 2,4 ha
Märkus: tunnistatud kehtetuks
Narva Vanalinna linnosa üldplaneering 30.11.2006. nr 208
Tellija: Narva Arhitektuuri- ja Linnaplaneerimise Amet
Eesmärk: Tulevikustrateegia väljatöötamine ja üldplaneeringu rakendamine vanalinna ajaloolise ja geograafilise ehituse- ja arendustegevuse teostamiseks linnaosa territooriumil.
Planeeritava ala pindala: ca 45,8 ha
Vihma tn 25 maa-ala 30.11.2006. nr 184
Tellija: Jefim Šabarov
Eesmärk: Planeeritava maa-ala kruntideks jagamine, ehitusõiguse määramine elamu ehitamiseks, heakorrastuse, haljastuse, liikluskorralduse (juurdepääsude ja parkimise) ja jalakäijate teede lahendamine, tehnovõrkude asukoha määramine ning nendega varustamise lahendamine.
Planeeritava ala pindala: ca 0,75 ha
Skeem: pdfjpgplaan
Kreenholmi tn 52 ja 54 maa-alad 30.11.2006. nr 183
Tellija: VP Market OÜ
Eesmärk: Planeeritaval maa-alal asuvate kinnistute liitmine, ehitusõiguse määramine kaubanduskeskuse ehitamiseks, liikluskorralduse ja jalakäijate teede lahendamine, maa-ala heakorrastuse ja haljastuse korraldamine, tehnovõrkude asukoha määramine ning nendega varustamise lahendamine.
Planeeritava ala pindala: ca 1,3 ha
Oru tn 10 ja selle lähiala 02.11.2006. nr 177
Tellija: OÜ Narva Ehitusprojekt, 11.09.2006.a. nr 1291/1-11
Eesmärk: Maa-alale ehitusõiguse andmine, krundipiiride täpsustamine, sihtotstarbe määramine, heakorrastuse, haljastuse, liikluskorralduse lahendamine, tehnovõrkude asukoha määramine.
Planeeritava ala pindala: ca 0,6 ha
Skeem: pdf
Heitvetepuhastusjaama maa-ala 20.10.2006. nr 169
Tellija: AS Narva Vesi, 16.10.2006.a. nr 1488/1-11
Eesmärk: Ehitusõiguse andmine autobussipargi ehitamiseks, sihtotstarbe määramine, maa-ala jagamine, heakorrastuse, haljastuse, liikluskorralduse lahendamine ja tehnovõrkude asukoha määramine.
Planeeritava ala pindala: ca 1,0 ha
Rahu 18a maa-ala 20.10.2006. nr 164
Tellija: KÜ Rahu 18/3, 30.06.2006.a. nr 915/1-11
Eesmärk: Maa-alale ehitusõiguse andmine 9-kordse elumaja ehitamiseks, maa-ala jagamine, heakorrastuse, haljastuse, liikluskorralduse lahendamine, tehnovõrkude asukoha määramine.
Planeeritava ala pindala: ca 0,46 ha
Rahu 4d maa-ala 28.09.2006. nr 153
Tellija: OÜ Õnneratas, 26.04.2006.a. nr 525/1-11
Eesmärk: Maa-alale ehitusõiguse andmine, krundi piiride laiendamine, sihtotstarbe muutmine, maa-ala heakorrastuse, haljastuse, liikluskorralduse lahendamine.
Planeeritava ala pindala: ca 0,5 ha
Lavretsovi tn 7 14.09.2006. nr 150
tunnistatud kehtetuks 21.03.2019.a. nr 15
Tellija: OÜ Dürai, 17.05.2006.a. nr 646/1-11
Eesmärk: Planeeritavale maa-alale ehitusõiguse andmine olemasolevale restoranile mansardkorruse pealeehitamiseks; maa-ala heakorrastuse, haljastuse, liikluskorralduse (juurdepääsude ja parkimise) ja jaläkaijate teede lahendamine, tehnovõrkude asukoha määramine ning nendega varustamise lahendamine.
Planeeritava ala pindala: ca 0,01 ha
Narva linna tööstuspiirkonna linnaosa 14.09.2006. nr 149
Tellija: Narva Arhitektuuri- ja Linnaplaneerimise Amet
Eesmärk: Planeeritava ala sees tööstushoonete rajamiseks sobilike alade määramine, moodustatavate koostööpiirkondade sihtotstarvete, üldfunktsioonide ja piiriettepanekute tegemine, liikluskorralduse, heakorra ja haljastuse põhimotete määramine, tehnovõrkude (magistraaltrasside) asukoha määramine ning varustamise lahendamine, arvestades vajadust suurendada maakasutuse intensiivsust üldplaneeringuga tööstus- ja tootmisalaks ettenähtud piirkonnas.
Planeeritava ala pindala: ca 597 ha
Rahu tänav 06.07.2006. nr 120
Tellija: Narva Arhitektuuri- ja Linnaplaneerimise Amet
Eesmärk: Planeeritava maa-ala liikluskorralduse lahendamine (juurdepääsude ja parkimise), tee laiendamine, krundipiiride täpsustamine, haljastuse ja heakorrastuse lahendamine.
Planeeritava ala pindala: ca 16,2 ha
Hariduse tänava maa-ala 06.07.2006. nr 119
Tellija: Narva Arhitektuuri- ja Linnaplaneerimise Amet
Eesmärk: Planeeritavale maa-ala liikluskorralduse lahendamine (juurdepääsude ja parkimise), tee lahendamine, krundipiirde täpsustamine, heakorrastuse ja haljastuse lahendamine.
Planeeritava ala pindala: ca 4,5 ha
Märkused: 2008.a. jpg
Äkkeküla 2 ja Äkkeküla 3 06.07.2006. nr 118
Tellija: Narva Arhitektuuri- ja Linnaplaneerimise Amet
Eesmärk: Planeeritavale maa-alale ehitusõiguse andmine tervise- ja spordikompleksi ehitamiseks ning terviseradade rajamiseks; maa- ala kruntideks jagamine; heakorrastuse, haljastuse, liikluskorralduse (juurdepääsude ja parkimise) ja jalakäijate teede lahendamine, tehnovõrkude asukoha määramine ning nendega varustamise lahendamine.
Planeeritava ala pindala: ca 88 ha
Märkused: Teade (pdf), Programm (pdf), 2007.a. jpg
Tallinna mnt maa- ala (3.Roheline tn kuni Energia tn ristmikuni) 01.06.2006. nr 92
Tellija: Narva Arhitektuuri- ja Linnaplaneerimise Amet
Eesmärk: Planeeritava maa-ala liikluskorralduse (juurdepaasude ja parkimise), tee laiendamine, krundipiiride tapsustamine, haljastuse ja heakorrastuse lahendamine.
Planeeritava ala pindala: ca 3,6 ha
Pähklimae 3, 3a ja Pähklimae 5 maa-ala 01.06.2006. nr 91
Tellija: Narva Arhitektuuri- ja Linnaplaneerimise Amet
Eesmärk: Planeeritavale maa-alale ehitusõiguse andmine; krundipiiride täpsustamine, heakorrastuse, haljastuse, liikluskorralduse (juurdepääsude ja parkimise) ja jalakäijate teede lahendamine, tehnovõrkude asukoha määramine ning nendega varustamise lahendamine. Planeeringu eesmark on siduda maa-ala planeeritava Äkkekula 2 ja 3 terviseradade detailplaneeringu loogiliseks jätkuks. Maa-ala autobussipargi poolses osasse näha ette "skeitpargi" rajamine.
Planeeritava ala pindala: ca 9,3 ha
Kerese tn maa-ala (Kreenholmi rist kuni Rahu tn viadukt) 01.06.2006. nr 90
Tellija: Narva Arhitektuuri- ja Linnaplaneerimise Amet
Eesmärk: Planeeritava maa-ala liikluskorralduse (juurdepääsude ja parkimise), tee laiendamine, krundipiiride täpsustamine, ehitusõiguse andmine, haljastuse ja heakorrastuse lahendamine.
Planeeritava ala pindala: ca 9 ha
Skeem: pdf
Honor ja Victoria bastionide ning nende lähiala 01.06.2006. nr 88
Tellija: Narva Arhitektuuri- ja Linnaplaneerimise Amet
Eesmärk: Planeeritava maa-ala korrastamine; pargi heakorrastuse lahendamine, bastionide korrastamine, kruntideks jagamine, ehitusõiguse määramine, liikluskorralduse ja parkimise määramine, haljastuse ja jalakäijate teede lahendamine, tehnovõrkude asukoha määramine ning nendega varustamise lahendamine.
Planeeritava ala pindala: ca 11 ha
Skeem: pdf
Failid: kehtetuks tunnistamine ja menetluse lõpetamine
Kangelaste 37 01.06.2006. nr 85
Tellija: BVL Kapital AS, 27.04.2006. nr 531/1-11
Eesmärk: Planeeritavale maa-alale ehitusõiguse andmine korterelamu ehitamiseks; maa-ala heakorrastuse, haljastuse, liikluskorralduse (juurdepääsude ja parkimise) ja jalakäijate teede lahendamine, tehnovõrkude asukoha määramine ning nendega varustamise lahendamine.
Planeeritava ala pindala: ca 0,82 ha
Märkus: tunnistatud kehtetuks
Linda pargi ja selle lähiala 04.05.2006. nr 72
Tellija: Narva Arhitektuuri- ja Linnaplaneerimise Amet
Eesmärk: Planeeritava maa-ala korrastamine; pargi heakorrastuse lahendamine, korterelamute liikluskorralduse ja parkimise määramine, haljastuse ja jalakäijate teede lahendamine, tehnovõrkude asukoha määramine.
Planeeritava ala pindala: ca 1,3 ha
Puškini-Malmi tänavate vahelise siseõue maa-ala 04.05.2006. nr 71
Tellija: Narva Arhitektuuri- ja Linnaplaneerimise Amet
Eesmärk: Planeeritava maa-ala korrastamine; hoovisisese haljastuse ja liikluskorralduse juurdepääsude ja korruselamute parkimise lahendamine), jalakäijate teede lahendamine, krundipiiride täpsustamine ning tehnovõrkude asukoha määramine.
Planeeritava ala pindala: ca 1,3 ha
Vikerkaare tn 1 04.05.2006. nr 70
Tellija: EÜ Dobrõi Vetšer, 05.04.2006. nr 422/1-11
Eesmärk: Planeeritavale maa-alale ehitusoiguse andmine ridaelamu ehitamiseks; heakorrastuse, haljastuse, liikluskorralduse (juurdepaasude ja parkimise) ja jalakaijate teede lahendamine, tehnovorkude asukoha maaramine ning varustamisega lahendamine.
Planeeritava ala pindala: ca 0,2 ha
Elektrijaama tee 1 20.04.2006. nr 65
tunnistatud kehtetuks 25.04.2019 nr 31
Tellija: AS ER Baltic Electrotechnics and Automation, 17.03.2006. nr 333/1-11
Eesmärk: Planeeritavale maa-alale ehitusõiguse andmine uue tootmishoone (elektritehniliste ja automatiseerimisseadmete montaaž ja remont) ehitamiseks ja tootmismaa piiride laiendamiseks; maa-ala liikluskorralduse, heakorrastuse, haljastuse lahendamine, tehnovõrkude asukoha määramine ja nendega varustamise lahendamine.
Planeeritava ala pindala: ca 0,84 ha
Rahu tn 36b 06.04.2006. nr 55
Tellija: AS Estpak Narva, 02.03.2006. nr 277/1-11
Eesmärk: Planeeritavale maa-alale ehitusõiguse andmine kauplus-lao ehitamiseks, heakorrastuse, haljastuse, liikluskorralduse lahendamine, tehnovõrkude asukoha määramine ning varustamisega lahendamine.
Planeeritava ala pindala: ca 0,43 ha
1.Mai tn 9 selle läheala 23.03.2006. nr 50
Tellija: ETP Kinnisvaraarenduse OÜ, 09.12.2005. nr 1347/1-11
Eesmärk: Ehitusõiguse andmine korterelamu ehitamiseks, krundipiiride täpsustamine, heakorrastuse, haljastuse liikluskorralduse (juurdepääsude ja parkimise) ja jalakäijate teede lahendamine, tehnovõrkude asukoha määramine ning varustamisega lahendamine. 1. Mai 9 krundi omanik on ETP Kinnisvaraarenduse OÜ.
Planeeritava ala pindala: ca 0,12 ha
Jõe tn 4 ja selle läheala 23.03.2006. nr 49
Tellija: Pjotr Jefimov, 18.10.2005. nr 1121/1-11
Eesmärk: Krundipiiride määramine, ehitusõiguse andmine, heakorrastuse, haljastuse, liikluskorralduse (juurdepääsude ja parkimise), tehnovõrkude asukoha määramine ning varustamisega lahendamine.
Planeeritava ala pindala: ca 0,3 ha
3.Roheline tn 4 ja 6 23.03.2006. nr 48
Tellija: OÜ Viira Pluss, 24.01.2006. nr 106/1-11
Eesmärk: Planeeritavale maa-alale ehitusõiguse andmine SPA- keskuse ehitamiseks (kaubandus, SPA, konverentsisaalid), maa-ala heakorrastuse, haljastuse, liikluskorralduse (juurdepääsude ja parkimise) ja jalakäijate teede lahendamine, tehnõvorkude asukoha määramine ning varustamisega lahendamine.
Planeeritava ala pindala: ca 0,2 ha
Daumani tn 13a 23.03.2006. nr 47
Tellija: OÜ Narva Kinnisvarabüroo, 16.02.2006. nr 211/1-11
Eesmärk: Planeeritavale maa-alale ehitusõiguse elumaja ja kohviku ehitamiseks, maa-ala heakorrastuse, haljastuse, liikluskorralduse (juurdepääsude ja parkimise) ja jalakäijate teede lahendamine, tehnovõrkude asukoha määramine ning varustamisega lahendamine.
Planeeritava ala pindala: ca 0,25 ha
Daumani tn 30 09.02.2006. nr 15
Tellija: AS Triverk, 05.01.2006.a. nr 23/1-11
Eesmärk: Ehitusõiguse andmine õppekeskuse ehitamiseks, heakorrastuse, haljastuse, liikluskorralduse lahendamine, tehnovõrkude asukoha määramine.
Planeeritava ala pindala: ca 1,57 ha
Hariduse tänava maa-ala 09.02.2006. nr 14
Tellija: Narva Arhitektuuri- ja Linnaplaneerimise Amet
Eesmärk: Planeeritava maa-ala liikluskorralduse, tee laiendamine, krundipiiride täpsustamine, heakorrastuse, ja haljastuse lahendamine.
Planeeritava ala pindala: ca 1,2 ha (Lähteulesande muutmine, 06.07.06 nr 119)
Võidu pargi maa-ala (valja arvatud Joala tn 8b) 09.02.2006. nr 13
Tellija: Narva Arhitektuuri- ja Linnaplaneerimise Amet
Eesmärk: Pargi korrastamine linna rohe- ja puhkealaks, heakorrastuse, haljastuse, liikluskorralduse lahendamine, krundipiiride määramise ning pargi hilisema munitsipaalomandisse taotlemine.
Planeeritava ala pindala: ca 2,3 ha
Skeem: pdf
Kangelaste 21a 09.02.2006. nr 12
Tellija: OÜ Blizzard, 18.10.2005.a. nr 1122/1-11
Eesmärk: Ehitusõiguse andmine mitmekorruselise korterelamu ehitamiseks, heakorrastuse, haljastuse, liikluskorralduse lahendamine, tehnovõrkude asukoha määramine.
Planeeritava ala pindala: ca 0,4 ha
Mõisa tn äärne maa-ala 09.02.2006. nr 11
Tellija: Narva Arhitektuuri- ja Linnaplaneerimise Amet
Eesmärk: Ehitusõiguse andmine linna raamatukogu ehitamiseks, maa-ala kruntideks jagamine hilisema munitsipaliseerimise eesmargil, heakorrastuse, haljastuse, liikluskorralduse lahendamine, tehnovõrkude asukoha määramine.
Planeeritava ala pindala: ca 1,9 ha
Skeem: pdf